Книга Оружие из дамаска и булата, страница 35 – Валерий Хорев

Авторы: А Б В Г Д Е Ж З И Й К Л М Н О П Р С Т У Ф Х Ч Ш Ы Э Ю Я
Книги: А Б В Г Д Е Ж З И Й К Л М Н О П Р С Т У Ф Х Ц Ч Ш Щ Ы Э Ю Я
Бесплатная онлайн библиотека LoveRead.in

Онлайн книга «Оружие из дамаска и булата»

📃 Cтраница 35

405 °С… красный (едва виден в темноте)

480 °С… темно-красный (виден в полумраке)

530 °С… светло-красный (виден на свету)

535 °С…красный (виден на солнце)

576 °С…красный (цвета темной вишни)

580 °С… красный (цвета среднеспелой вишни)

746 °С…вишневый

800 °С… светло-вишневый

843 °С…красный

900 °С…красный, средней яркости

940 °С… ярко-красный

1000 °С…лимонный

1080 °С…светло-желтый

1209 °С…желто-белый

1400 °С…ярко-белый

1660 °С…ослепительный бело-голубой

Кроме того, всякий специалист вольно или невольно живописал оттенки свечения в весьма поэтических образах, как-то: «цвет пустынного солнца на закате», «мясо-красный», «цвет королевского пурпура», и тому подобных. Параметры и состав закалочной ванны окружались еще более плотной завесой тайны. Известен случай, когда некий японский мастер тотчас отрубил руку своему другу и коллеге, который зашел к нему покалякать и словно бы ненароком опустил пальцы в емкость с водой. Дружба дружбой…

Способ погружения клинка в жидкость весьма существенно влияет на конечный результат и даже на геометрию полосы. Так, прогиб сабельного клинка может, хоть и немного, но явно увеличиться или уменьшиться в зависимости от угла опускания, а при самой незначительной неравномерности движения клинок «поведет», превратив прямую штуковину в поросячий хвост. К слову сказать, представленное выше изображение сабли, опущенной в кувшин, неверно. Криволинейные однолезвийные клинки следует погружать не вертикально, а почти горизонтально, острием вперед и вниз, и не в кувшины или бочки, а в специальное корытце, соответствующее длине изделия. Вертикально же калят только симметричные прямые клинки, опуская их строго отвесно. Это правило распространяется главным образом на длинные полосы, но справедливо и для коротких ножей и кинжалов.

И еще - ни за что на свете, ни при каких условиях нельзя шевелить опущенным в ванну клинком, так как это и будет самым верным путем к получению безобразной кривули. Некоторые термисты, закаливая компактные, массивные детали сложной пространственной конфигурации, практикуют подобный прием, но это совершенно иной случай, не имеющий к клинкам ни малейшего отношения. Я знавал умельцев, которые любили сунуть раскаленный ножик в банку с маслом и лихо вертеть им в глубине. Результат всегда бывал однозначным. В идеале, закаливая симметричную прямую полосу, ее следовало бы по изъятию из печи мгновенно подвесить за хвостовик на тонкой проволоке, а уж затем погружать. Разумеется, вертикальность при этом будет совершенной. Физическая суть в том, что тонкую деталь «ведет» как следствие неравномерной скорости охлаждения различных ее участков, а даже самые незначительные покачивания в краткий миг слияния стихий огня и воды эту самую неравномерность обеспечивают. Напротив, когда закаливают небольшую, но увесистую заготовку, ее непременно нужно перемещать, дабы прилегающие слои жидкости не препятствовали интенсивному отъему тепла, иначе ваша железка не прокалится насквозь.

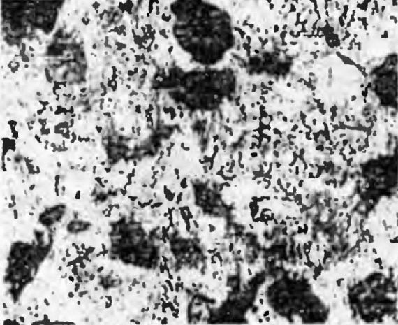
Чтобы полнее представить картину превращений, происходящих в стали во время закалки, рассмотрим вопрос несколько подробнее, так как схема «аустенит/ мартенсит» (см. главу «Классический булат») слишком проста, и демонстрирует лишь предельные состояния. На практике же выделяют еще две промежуточные структуры - троостит и сорбит. Структура троостита возникает при менее быстром охлаждении, чем требуется для получения твердого мартенсита, но в чистом виде она редка, образуя с мартенситом всевозможные сочетания наподобие показанного:

Иллюстрация к книге — Оружие из дамаска и булата [pic_94.jpg]

Фото микрошлифа с увеличением в 375 раз, темные участки - троостит, светлые - мартенсит.

Нечто похожее может быть получено обратным порядком - при нагреве закаленной на мартенсит стали до температуры ниже 400 °С, но такой троостит отпуска будет иметь иное, зернистое строение. Вообще же троостит представляет собой тонкодисперсную смесь цементита и феррита. Он менее хрупок и тверд, чем мартенсит, зато обладает превосходной упругостью. На троостит калят пружины, и каждый может убедиться в их невысокой твердости с помощью, скажем, надфиля. Клинок, имеющий трооститную структуру, всегда эластичен и упруг, однако его зазубрит даже кухонный ножик.

Сорбитная структура получается при еще меньшей скорости охлаждения, либо при нагреве мартенсита до 500-650°С. По сравнению с сырой, незакаленной сталью сорбит обладает некоторой прочностью и твердостью при сравнительно высоком пределе упругости. Это переходная, промежуточная структура между перлитом и трооститом. Как и троостит, сорбит закалки имеет пластинчатое, а сорбит отпуска - зернистое строение, и является механической смесью все тех же двух основных фаз - феррита и цементита.

Иллюстрация к книге — Оружие из дамаска и булата [pic_95.jpg]

Было бы неверно представлять себе процесс термической обработки стали только как закалку до той или иной степени твердости, потому что минимально допустимый цикл требует еще две обязательные операции - отжиг и отпуск. Отжиг является абсолютно необходимым этапом, без него клинок искривится почти наверняка, насколько тщательно ни соблюдался бы алгоритм закалки, и вот почему.

Когда мы придаем куску железа форму клинка, его внутренняя структура претерпевает между молотом и наковальней колоссальные, хотя и не заметные глазу, изменения. Но даже если мы не куем, а фрезеруем заготовку, или снимаем лишний металл каким-нибудь иным способом, первоначальная целостность все равно нарушается. В итоге готовый клинок при полнейшем совершенстве очертаний заряжен целой обоймой внутренних напряжений, которые дадут себя знать во время стремительного охлаждения в закалочной ванне, явив миру безобразие взамен былой красоты. Отжиг ликвидирует эту проблему. С его помощью:

* повышается прочность стали ввиду измельчения зерна (не всегда);

* устраняются внутренние напряжения за счет рекристаллизации металла;

* устраняется неоднородность структуры в различных частях изделия;

* восстанавливается нормальная структура, нарушенная обработкой;

* выравнивается химический состав и т. д.

Практически отжиг состоит в нагреве изделия выше точки аустенитного превращения (как при закалке) и последующего медленного охлаждения вместе с печью в течение, как минимум, нескольких часов (чем дольше, тем лучше). Чтобы не произошло выгорания углерода, тонкие полосы клинков необходимо помещать в контейнер, заполненный золой или толченым древесным углем, но в последнем случае произойдет науглероживание стали. Если это нежелательно, используется нейтральная зола.

Вход
Поиск по сайту
Ищем:
Календарь