Книга Оружие из дамаска и булата, страница 24 – Валерий Хорев

Авторы: А Б В Г Д Е Ж З И Й К Л М Н О П Р С Т У Ф Х Ч Ш Ы Э Ю Я
Книги: А Б В Г Д Е Ж З И Й К Л М Н О П Р С Т У Ф Х Ц Ч Ш Щ Ы Э Ю Я
Бесплатная онлайн библиотека LoveRead.in

Онлайн книга «Оружие из дамаска и булата»

📃 Cтраница 24

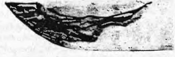
- полностью готовое покрытие с нанесенными полосками аси и четко оформленным острием. Обратите внимание - слой глины обрывается уступом, не доходя до острия, так как оно является продолжением якиба и также калится до высокой твердости.

Иллюстрация к книге — Оружие из дамаска и булата [pic_65.jpg]

- увеличенный фрагмент клинка, на котором часть обмазки (справа) удалена для демонстрации последовательности наложения слоев.

Иллюстрация к книге — Оружие из дамаска и булата [pic_66.jpg]

- тот же клинок после закалки, во время которой глина растрескалась и слегка осыпалась, открыв участки лезвия.

Иллюстрация к книге — Оружие из дамаска и булата [pic_67.jpg]

- увеличенный фрагмент острия (киссаки) после закалки. Хорошо заметны пять или шесть тонких наслоений глины выше лезвия, там где ее толщина максимальна, а также тщательно исполненное завершение обмазки с нанесенными аси в районе скругпения режущей кромки.

Существует изрядное количество канонизированных разновидностей хамон, и для опытного специалиста по оценке мечей достаточно

Иллюстрация к книге — Оружие из дамаска и булата [pic_68.jpg]

порой единственного взгляда на клинок, чтобы точно назвать, как минимум, эпоху и школу. Вот перед нами лишь некоторые из них, явленные на поверхности большого боевого танто. Нет смысла приводить мало что говорящие нам специфические японские наименования каждого типа хамон, но для любознательных натур можно назвать несколько самых ходовых: например» сугуха (прямолинейный), мидарэ, нотарэ, гуномэ (волны), тёдзи (зерна) и так далее.

В зоне киссаки линия хамон не обрывалась кое-как, а завершалась строго определенным, характерным для данной школы образом, закругляясь по направлению к спинке клинка изящным поворотом, формы которого называются боси (боши )у а насчитывается оных (только базовых вариантов) около двух десятков.

Когда подготовительные операции с блеском завершены, наступает самый главный и ответственный момент - закалка. Клинок помещают в горн и нагревают до температуры 810-830 °С. Важнейшим условием является равномерность процесса, для чего полосу постоянно слегка шевелят в толще древесного угля. Излишне уточнять, что температура определяется на глаз по оттенку свечения заготовки. В нужный, интуитивно прочувствованный момент мастер извлекает будущий меч из горна и одним решительным движением погружает лезвием вниз в корыто с водой, относительно температуры которой встречаются самые противоречивые сведения. Тогда как ряд солидных источников настаивает на том, что вода должна быть ледяной и подсоленной, не менее уважаемые оппоненты пишут о теплой воде. Скорее всего, конкретный вид ванны определялся исходной сталью, содержанием в ней углерода и многими иными факторами, ведомыми лишь самому маэстро. Чем холоднее вода, тем быстрее отводится тепло и тем тверже получается сталь. Растворение соли также увеличивает теплоотдачу. Соответственно, подогретая вода даст более щадящую закалку. Чем утлеродистее сталь, тем нежнее следует с ней обходиться.

Немедленно после закалки нужно освободить клинок от глины и подвергнуть отпуску при температуре 195-200 °С. О том, что это дает, подробно рассказано в специальной главе. Но даже после этого требуется не менее года для полной стабилизации кристаллических структур. Чтобы не терять времени, клинки старили искусственно путем десятикратного нагрева до температуры отпуска и медленного, естественного охлаждения.

Теперь, имея прекрасно закаленный клинок, его нужно подготовить для финальных операций, которые производит уже другой специалист. Пока же кузнец делает вот что:

* предварительно шлифует поверхность относительно крупнозернистым камнем, что позволяет выявить дефекты сварки, закалки и т. д.;

* при помощи напильника делает специальную насечку ясуримэ на хвостовике клинка, сугубо индивидуальную либо для него лично, либо для его школы и стиля;

* сверлит крепежное отверстие для шпильки мэку-ги фиксирующей рукоятку;

* ставит свое клеймо или подпись (мэи) на поверхности хвостовика, который никогда не зачищается (не должен) на протяжении всей жизни меча, поскольку характер ржавчины является важным аспектом в деле оценки возраста предмета;

* прорезает долы (хи) или выполняет художественную гравировку клинка (хоримоно). Чаще долы выстругивал ученик при помощи особого резца, а рисунок наносил другой мастер.

На этом сфера компетенции кузнеца заканчивалась, и клинок попадал в руки профессионального полировальщика. Считалось неэтичным самостоятельно полировать и затачивать меч, так как традиционно этим занимались целые династии истинных виртуозов своего дела. Примечательно, что в Европе ни о чем таком не слыхивали, и мастер единолично вел свое детище от горна до украшения и сборки. Стоит ли удивляться тому, что японские мечи намного превосходили и превосходят европейское холодное оружие независимо от его типа и национальной принадлежности - узкая специализация всегда плодотворнее универсализма.


Искусство полировки
Иллюстрация к книге — Оружие из дамаска и булата [pic_69.jpg]

На сегодняшний день в Японии существует две старинных школы полировки мечей: Хонъами и Фудзисиро, в которых проходят обучение молодые люди, проявившие неординарные способности и проскочившие через сито жесткого отбора.

Хонъами. Эта школа является наиболее древней и традиционной. Семейство Хонъами занимается оценкой мечей и обучает искусству полировки непрерывно, начиная с XIII века. Первые два года посвящены освоению азов процесса, а три последующих - тонким финальным операциям. Лишь по прохождении полного курса ученик допускается к полировке меча от начала до конца.

Фудзисиро. В отличие от своих именитых конкурентов, ученики данной школы быстро переходят от стадии к стадии, поскольку наставники считают, что юноша скорее заметит собственные погрешности в предварительной шлифовке, если тотчас, на этом же клинке произведет завершающие действия.

Несмотря на разницу в методиках, обе школы схожи незыблемостью принципов самого ревностного следования традициям высочайшего качества, какое только можно представить. Прежде чем аттестоваться для самостоятельной работы, ученик проходит десятилетнюю стажировку, цель которой - выработать опыт в вопросе оценки меча. Настоящий мастер с первого взгляда обязан однозначно и безошибочно определить, где, когда и кем изготовлен клинок, ибо от этого зависит подбор камней для его полировки. Вероятно, необязательно уточнять, что неверный ассортимент приведет к порче изделия. Вполне может статься, что данный клинок не выдержит экзекуции, будучи слишком старым и затертым. Поскольку инструментом служат абразивы, то с каждым разом толщина стальной оболочки меча (каваганэ) уменьшается, и рано или поздно ей приходит конец. Но зато, хотя полный цикл полировки и заточки предполагает не менее двух недель упорного труда, зеркальная поверхность и бритвенная острота сохраняется почти 100 лет! Для полноты картины предлагаю увлекательный и подробный рассказ об учебном процессе и традициях школы Хонъами. Его автор - знаменитый современный полировальщик Кэндзи Мисина, биография которого весьма примечательна.

Вход
Поиск по сайту
Ищем:
Календарь