Онлайн книга «Друиды. Поэты, ученые, прорицатели»
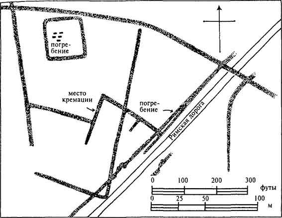
![]() Рис 20, 21. Кельтские удлиненные священные ограды, окруженные рвом. Марна, Франция, и Либеницы, Чехия Чешское городище в Либеницах близ Колина относится к III веку до н. э. Оно окружено овальным рвом с закругленными концами и имеет примерно 300 футов в длину и 75 футов в ширину и ориентировано с северо-запада на юго-восток. В юго-восточном конце предположительно было что-то вроде «святилища». В нем находилась каменная стела и две близко расположенные ямы под столбы, рядом с которыми были найдены обугленные остатки сожженных колонн и два бронзовых шейных кольца. Их наличие резонно объясняли тем, что они служили украшением деревянных столбов, обтесанных в виде человеческой фигуры. Ямы, являющиеся опущенным полом святилища, по всей видимости, были выкопаны на протяжении какого-то периода, как бы во время повторных церемоний, вроде возлияний, и затем их засыпали. Все это происходило на протяжении примерно двадцати четырех лет. Найденные кости людей и животных свидетельствуют о том, что в оградах совершались жертвоприношения. Там же обнаружено захоронение женщины, вероятно, одной из жриц этого святилища. Другая прямоугольная священная ограда в Чехословакии расположена в Мшецке-Жехровице. Она имеет размеры 650х350 футов. Там была найдена замечательная каменная скульптура: голова бога или героя в натуральную величину. Удлиненные планы святилищ в Олни и Либеницах дают основание предположить, что загадочное земляное строение на холме Тары, известное под названием «Банкетный зал» (размером 750х90 футов), может иметь аналогичное назначение. ![]() Рис. 22. Так называемый «Банкетный зал» на холме Тары. Ирландия Возвращаясь к раскопу на Марне, где мы видели поздние строения, сооруженные внутри небольших квадратных оград, окруженных канавами, следует отметить, что там также были обнаружены захоронения, как, впрочем, и в других местах: на юге (близ Йонны), на востоке (в Чехословакии), на севере (в Англии – в Хертфордшире и на востоке Йоркшира). Известны и другие прямоугольные или квадратные ограды с внутренними постройками или захоронениями. Их достаточно много, причем они датируются от IV века до н. э. до кануна римского завоевания, что нашло свое отражение в огороженных кладбищах Галлии и Британии. Этот тип структуры, как было недавно показано, берет свое начало почти на заре VII века до н. э., о чем свидетельствуют кремированные останки в урне этой же датировки, найденной в четверной, окруженной рвом ограде (37 футов в поперечнике) близ Дестельберга (Бельгия). К югу от Бонна обнаружена группа кладбищ, заключенных в квадратные рвы, которые относятся к позднедоисторическому периоду или раннеримскому. По всей видимости, они являются проявлением той же традиции. ![]() Рис. 23. Угловая ограда, окруженная рвом, и доримские погребения. Близ Валлертхейма, Рейнхессен Расположение угловых оград, окруженных рвами близ Валлертхейма в Рейнхессене, относится к этому же общему типу и напоминает, хоть и в уменьшенном размере, романо-бриттские городища у Римской дороги, там, где она пересекается с дамбой Бокерли на границе Уилтшира и Дорсета. В раскопанной генералом Питт-Риверсом системе угловых ограждающих рвов было обнаружено кладбище погребений в почти квадратной окруженной рвом ограде. Если это место относилось к романо-кельтскому святилищу, тогда можно объяснить то феноменальное количество монет, которые были найдены при раскопках несколько к югу от него, что весьма похоже на подобную находку разбросанных монет вокруг романо-кельтского храма в форме двойного квадрата в Вудитоне. ![]() Рис 24. Угловые ограды, окруженные рвом, и погребения. Римский период. На пересечении Римской дороги и дамбы Бокерли В «крепости на холме», расположенной в Каслри (Уилтшир), раскопки выявили серию окруженных рвами оград, сосредоточенных на прямолинейном участке (около 200 квадратных футов) в пределах не оборонительного рва с внешней насыпью. Внутренние строения датируются доримским периодом, а большая ограда – римским. Внутреннюю структуру не обследовали на предмет выявления бревенчатых построек, но было отмечено присутствие грубого мощения. При этом нельзя с наскока отмести вопрос о том, не являлась ли эта территория ритуальным фокусом храмового участка. Такого рода участки приводят нас к весьма примечательной группе священных оград, характерных для кельтского мира, а именно прямолинейным земляным структурам германского Viereckschanze-типа, относящимся главным образом к последней фазе развития местной кельтской культуры. Их относят к культовым центрам. ![]() Рис. 25. Рвы ограды окаймляют прямолинейный участок, возможно предназначенный для храма или святилища внутри «крепости на холме» железного века в Каслри. Уилтшир Основная их группа компактно распределена по области, ограниченной с юга Альпами от озера Констанс до Зальцбурга. Они встречаются и на севере вдоль Рейна. В Швейцарии, близ Берна, и в Восточной Франции имеется некоторое сосредоточение меньших по размеру сооружений, располагающихся между Шартром и рекой Сеной. Однако полевые археологические работы, осуществляемые во Франции, несомненно, изменят наши представления об их ареале. ![]() Рис. 26, 27. Римские ограды, окруженные рвом. Роден-Даун, Беркшир (слева) и детали кладбища и мест кремации (справа) ![]() Археологические памятники, сопоставимые с этими (или другими ранее упоминавшимися оградами), могут также оставаться неопознанными и существовать как класс памятников железного века или романо-бриттских священных мест юга Англии. На это могут претендовать и земляные структуры в Хитроу и другие, например в Беркшире (беседка Робин Гуда в Мэйденхеде), холм Быка в Уффингтоне, дюны Роден в Комптоне и Фокс-Фурлонг в Лонг-Уиттенхеме, где три прямоугольные ограды содержат каждая колодец или шахту. Но об этом мы поговорим позднее. ![]() Рис. 28. Окруженная рвом ограда, содержащая ритуальные шахты. Фокс-Фурлонг, Лонг-Уиттенхем, Беркшир |
![Иллюстрация к книге — Друиды. Поэты, ученые, прорицатели [pic_19.jpg] Иллюстрация к книге — Друиды. Поэты, ученые, прорицатели [pic_19.jpg]](img/book_covers/075/75279/pic_19.jpg)
![Иллюстрация к книге — Друиды. Поэты, ученые, прорицатели [pic_20.jpg] Иллюстрация к книге — Друиды. Поэты, ученые, прорицатели [pic_20.jpg]](img/book_covers/075/75279/pic_20.jpg)
![Иллюстрация к книге — Друиды. Поэты, ученые, прорицатели [pic_21.jpg] Иллюстрация к книге — Друиды. Поэты, ученые, прорицатели [pic_21.jpg]](img/book_covers/075/75279/pic_21.jpg)
![Иллюстрация к книге — Друиды. Поэты, ученые, прорицатели [pic_22.jpg] Иллюстрация к книге — Друиды. Поэты, ученые, прорицатели [pic_22.jpg]](img/book_covers/075/75279/pic_22.jpg)
![Иллюстрация к книге — Друиды. Поэты, ученые, прорицатели [pic_23.jpg] Иллюстрация к книге — Друиды. Поэты, ученые, прорицатели [pic_23.jpg]](img/book_covers/075/75279/pic_23.jpg)
![Иллюстрация к книге — Друиды. Поэты, ученые, прорицатели [pic_24.jpg] Иллюстрация к книге — Друиды. Поэты, ученые, прорицатели [pic_24.jpg]](img/book_covers/075/75279/pic_24.jpg)
![Иллюстрация к книге — Друиды. Поэты, ученые, прорицатели [pic_25.jpg] Иллюстрация к книге — Друиды. Поэты, ученые, прорицатели [pic_25.jpg]](img/book_covers/075/75279/pic_25.jpg)
![Иллюстрация к книге — Друиды. Поэты, ученые, прорицатели [pic_26.jpg] Иллюстрация к книге — Друиды. Поэты, ученые, прорицатели [pic_26.jpg]](img/book_covers/075/75279/pic_26.jpg)