Онлайн книга «Маринеско Александр Иванович»
|
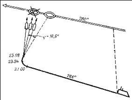
В третьем эшелоне подводная лодка Д-2 (командир капитан 3 ранга Р.В. Линденберг) 3 октября в районе о. Эланд обнаружила два вражеских транспорта, шедших в охранении двух эсминцев и утопила концевой транспорт. 14 октября в районе о. Борнхольм потопила вооруженный транспорт «Uakobys Fritcen». 19 октября при следовании под перископом Д-2 обнаружила конвой противника в составе двух железнодорожных паромов, курсировавших на линии Треллеборг-Засниц, и сильного охранения (вспомогательный крейсер, пять сторожевых кораблей). Прорвав охранение, подводная лодка произвела двухторпедный залп и одной торпедой попала в головной паром «Deutchland». В сильно поврежденном состоянии паром отбуксирован в Треллеборг и поставлен в ДОК. Одновременно с Д-2 действовала подводная лодка Щ-406 (командир капитан 3 ранга Е.Я. Осипов). 26 октября у входа в Данцигскую бухту она потопила транспорт «Merkator», 29 октября в этом же районе отправила на дно еще одно транспортное судно, а 1 ноября у маяка Риксгефт уничтожила транспорт «Agnes». Во время этого похода Щ-406 пятьдесят пять раз преодолевала минные заграждения, но благополучно вернулась в базу. Подводные лодки, действовавшие в третьем эшелоне уничтожили и повредили 21 транспортное судно противника. Успех был достигнут дорогой ценой: погибло несколько наших подводных лодок, некоторые подводные лодки получили повреждения. Большинство из них подорвались на минах при форсировании Финского залива. Возможности подводных лодок в использовании минного оружия в 1942 году по сравнению с предыдущим годом значительно снизились (в связи с гибелью минных заградителей Л-2 и «Калев»). В этом году лишь подводная лодка Л-3 дважды выходила на минные постановки, выставив 40 мин. В ходе кампании 1942 года, несмотря на крайне неблагоприятную обстановку, подводные лодки уничтожили 48 транспортов, совершили 40 Боевых походов, в том числе тридцать в Балтийское море. ![]() Районы боевых действий подводных лодок Балтийского флота в 1941 году ![]() Схема форсирования минных рубежей подводными лодками Балтийского флота в Финском заливе в 1942 году ![]() Районы боевых действий подводных лодок Балтийского флота в 1944 году ![]() Районы боевых действий подводных лодок Балтийского флота в 1945 году ![]() Маневрирование подводной лодки С-13 при атаке «Wilhelm Gustloff» ![]() ![]() Маневрирование С-13 при атаке «Wilhelm Gustloff» (фото из немецкого журнала) 1943 год Понеся на морских коммуникациях в 1942 году значительные потери и стремясь еще более затруднить действия наших подводных сил на Балтике, противник стал энергично укреплять противолодочный рубеж, протянувшийся от о. Гогланд до устья Финского залива. Были поставлены новые минные заграждения от Невской губы до о. Лавенсари, усилены противолодочные дозоры. К началу кампании 1943 года число кораблей и судов противника, действовавших в Финском заливе, возросло до 249. Более 140 кораблей участвовало в сооружении мощной сетевой преграды, протянувшейся от маяка Порккалан-Каллбода до о. Нарген и далее к о. Вульф и бухте Коплилахт. Близ о. Нарген и маяка Порккалан-Каллбода были установлены подводные гидроакустические станции, а вдоль линии сетей стал осуществлять патрулирование корабельный дозор. К 10 апреля Krigsmarine закончила постановку сетей и мин на линии о. Нарген — мыс Порккала-Удд. Было поставлено более 9000 мин, причем в несколько ярусов — в 10, 15, 25, 30 и 35 метров от грунта. На гогландской позиции число мин и минных защитников превысило 13 тысяч. Общее число мин в Финском заливе было доведено до 33 тысяч. Ранняя весна 1943 года, позволяла нашим подводным лодкам начать боевые действия уже с середины апреля. Однако массированные минные постановки, выполненные противником в районе Кронштадта и в устье р. Невы, заставили провести интенсивное траление и таким образом задержали развертывание подводных лодок почти на месяц. Первые две лодки — Щ-303 (командир капитан 3 ранга И.В. Травкин) и Щ-408 (командир капитан-лейтенант П.С. Кузьмин) — получили задание выявить возможность преодоления минно-сетевых заграждений в Финском заливе для выхода наших подводных лодок на коммуникации противника в Балтийском море. При успешном решении этой задачи они должны были действовать в районе о. Утё — маяк Ристна. Щ-408 18 мая вышла в Боевой поход, а 22 мая была атакована противолодочными силами противника и потоплена им. ![]() Вторая группа подводных лодок в составе Щ-406 и С-12 должна была выйти в поход в конце мая. В ночь на 29 мая от о. Лавенсари в Балтийское море начала движение подводная лодка Щ-406 (командир капитан 3 ранга Е.Я. Осипов). Не дойдя до своей позиции, она погибла. Выход С-12 не состоялся, так как в связи с гибелью двух экипажей было принято решение временно подводные лодки в Балтийское море не посылать. Следующая попытка прорваться была предпринята в августе, после того как наши летчики сбросили в районе сетей большое количество бомб. В состав группы вошли М-96 и М-102. Однако М-102 была повреждена во время авиационного налета на о. Лавенсари, а М-96 в первый же день похода наскочила на мель и из-за полученных повреждений вынуждена была вернуться. К следующему походу были назначены подводные лодки С-12 (командир капитан 3 ранга А.А. Бащенко) и С-9 (командир капитан 3 ранга А.И. Мыльников). Перед С-12 была поставлена боевая задача — после двухдневной разведки района попытаться форсировать противолодочный рубеж, в случае удачи сообщить об этом по радио и следовать в Балтийское море для действий на коммуникациях. С-9 должна была разведать район сетей и определить возможность их разрушения взрывами торпед. Выполняя боевые задания, обе подводные лодки погибли. В кампанию 1943 года наши подводные лодки столкнулись с мощной противолодочной преградой, закрывшей им путь в Балтийское море. На выставленных ранее минах в 1943 году подорвались два вражеских транспорта, от полученных при взрыве мины повреждений затонула подводная лодка U416. |
![Иллюстрация к книге — Маринеско Александр Иванович [i_022.jpg] Иллюстрация к книге — Маринеско Александр Иванович [i_022.jpg]](img/book_covers/051/51998/i_022.jpg)
![Иллюстрация к книге — Маринеско Александр Иванович [i_023.jpg] Иллюстрация к книге — Маринеско Александр Иванович [i_023.jpg]](img/book_covers/051/51998/i_023.jpg)
![Иллюстрация к книге — Маринеско Александр Иванович [i_024.jpg] Иллюстрация к книге — Маринеско Александр Иванович [i_024.jpg]](img/book_covers/051/51998/i_024.jpg)
![Иллюстрация к книге — Маринеско Александр Иванович [i_025.jpg] Иллюстрация к книге — Маринеско Александр Иванович [i_025.jpg]](img/book_covers/051/51998/i_025.jpg)
![Иллюстрация к книге — Маринеско Александр Иванович [i_026.jpg] Иллюстрация к книге — Маринеско Александр Иванович [i_026.jpg]](img/book_covers/051/51998/i_026.jpg)
![Иллюстрация к книге — Маринеско Александр Иванович [i_027.jpg] Иллюстрация к книге — Маринеско Александр Иванович [i_027.jpg]](img/book_covers/051/51998/i_027.jpg)
![Иллюстрация к книге — Маринеско Александр Иванович [i_028.jpg] Иллюстрация к книге — Маринеско Александр Иванович [i_028.jpg]](img/book_covers/051/51998/i_028.jpg)
![Иллюстрация к книге — Маринеско Александр Иванович [i_029.jpg] Иллюстрация к книге — Маринеско Александр Иванович [i_029.jpg]](img/book_covers/051/51998/i_029.jpg)